조황관리HOME / 조황관리 / 상세정보

제목 : [진해대박낚시]참돔 타이라바-3월21일 조황
등록일 : 2026-03-21



       참돔 타이라바 매일 출조 합니다 

         참돔 시즌 끝까지 선비 10만원
         ( 16석 / 청개비, 도시락 포함 )
  
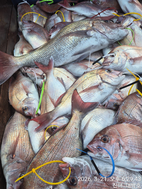
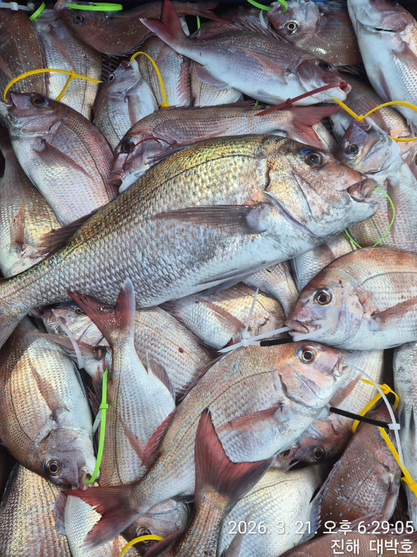
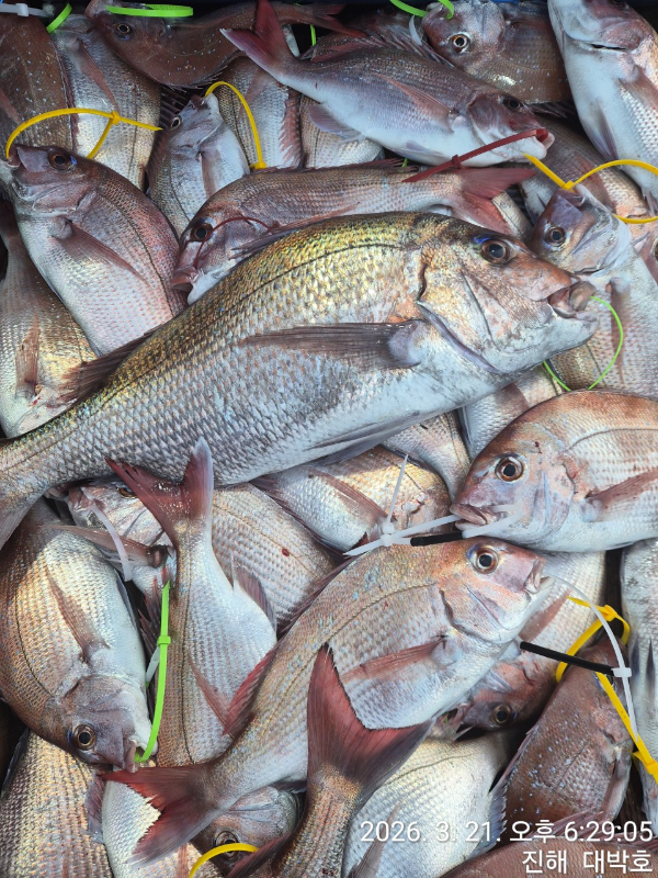
토요일 참돔 타이라바 조황 입니다 

몇일 속 썩이던 참돔들이 물색이 돌아 오면서 
다시 움직이기 시작 합니다 

조류가 이쁘게 흐르는 시간에 맞춰
오전, 오후 한차례씩 
시원한 입질이 한동안 이어졌고
63 덩치급 까지 찐한 손맛을 전해 주네요 

일요일 자리여유 있습니다 
6분 이상 무조건 출조 합니다 
월요일은 수협 행사 관계로 휴항 합니다 

진해대박낚시밴드
http://band.us/@jackpotfishing

BandPhoto_2026_03_21_18_54_26_1.jpg
BandPhoto_2026_03_21_18_54_26_2.jpg
BandPhoto_2026_03_21_18_54_26_3.jpg
BandPhoto_2026_03_21_18_54_26_4.jpg
BandPhoto_2026_03_21_18_54_26_5.jpg
BandPhoto_2026_03_21_18_54_26_6.jpg
BandPhoto_2026_03_21_18_54_26_7.jpg
BandPhoto_2026_03_21_18_54_26_8.jpg
BandPhoto_2026_03_21_18_54_26_9.jpg
BandPhoto_2026_03_21_18_54_26_10.jpg
BandPhoto_2026_03_21_18_54_26_11.jpg
BandPhoto_2026_03_21_18_54_26_12.jpg
BandPhoto_2026_03_21_18_54_26_13.jpg
* 편안한 낚시 여건을 위해 16분만 모십니다 *
* 자리 배정은 추첨 입니다 *
* 입항 10분전 참돔 피 빼 드립니다 *
* 항구 근처 회집에서 회 뜰 수 있습니다(유료) *
* 초보 조사님 집중 가이드 해 드립니다 *
* 장비대여 가능 : 로드+릴 만원(로드 무료) *


                " 매일 경품 증정 "

            일일  최대어 : 3만원 상품권
            7짜 :   5만원 상품권
            8짜 : 10만원 상품권
            9짜 : 20만원 상품권

" 대박호 전용 상품권..선비, 채비구매 사용 가능"


* 타이라바 출조 안내
  ㆍ청개비 포함 10만원 (16석), 생타이 9만원
  ㆍ출조지 : 홍도, 구을비, 안경섬, 매물도, 손대..
  ㆍ새벽 5시 30분 출항, 오후 4시 전후 현지 철수

* 타이라바 장비 및 채비
  ㆍ로드 :  참돔 타이라바대 (한치대, 갈치텐빈대)
  ㆍ릴  :  베이트 릴(전동가능)
  ㆍ라인 :  합사 0.8~1호 8합사 (300m권장)
  ㆍ헤드 :  100g.~150g.
  ㆍ쇼크리드 :  3호~ 3.5호

     " 채비 사무실에서 구매 가능 합니다 "

Screenshot_20251204_184444_NAVER.jpg

* 선사 지급 품목
  ㆍ청개비 
  ㆍ점심식사 (도시락)
  ㆍ선상 별미 즉석라면
  ㆍ음료수. 캔커피. 믹스커피. 생수
  ㆍ달달구리 스낵바


   ☆배 바로 앞ㅡ 전용주차장, 사무실☆
20260310_184527.jpg
 
       " 술 반입 및 음주 절대금지"

   "신분증 꼭 지참해서 승선해 주세요"
 
           " 구명조끼 의무 착용 "

      " 멀미약은 미리 챙겨오세요 "



           예약 문의 010 9047 2211
                (선장 6272 4959)
 
      "선상24" 에서도 예약가능 합니다 




*** 진해 대박낚시 예약 안내 ***


예약문의 : 010-9047-2211

오시는길 : 경남 창원시 진해구 명제로472번길 23

모바일.gif 

Top