참돔 타이라바 출조 합니다 참돔 시즌 끝까지 선비 10만원 ( 16석 / 청개비, 도시락 포함 ) 일요일 참돔 타이라바 조황 입니다 부지런히 포인트 옮겨 다니며피딩타임 없이 몇 마리씩 잡아내최종 40 여수 조황 입니다씨알은 쓸만 한 놈들이 제법 나왔네요 다음달 부터 기름값이 많이 인상 되는 관계로4월달은 휴식기를 가지려 했으나조사님들 요청도 많고 해서기상, 조황 판단후 번개출조 예정 입니다시즌 말미에 선비를 올릴 수도 없고 하여12분 이상 예약시 출조 합니다이번주 예보를 보니 주말은 힘들 것 같고목요일 출조 일정을 잡았습니다출항여부는 수요일 저녁에 확정 하겠습니다진해대박낚시밴드http://band.us/@jackpotfishing * 편안한 낚시 여건을 위해 16분만 모십니다 ** 자리 배정은 추첨 입니다 ** 입항 10분전 참돔 피 빼 드립니다 ** 항구 근처 회집에서 회 뜰 수 있습니다(유료) ** 초보 조사님 집중 가이드 해 드
참돔 타이라바 매일 출조 합니다 참돔 시즌 끝까지 선비 10만원 ( 16석 / 청개비, 도시락 포함 )일요일 참돔 타이라바 조황 입니다 두 차례 시원
참돔 타이라바 매일 출조 합니다 참돔 시즌 끝까지 선비 10만원 ( 16석 / 청개비, 도시락 포함 ) 토요일 참돔 타이라바 조황 입니다 몇일 속 썩이던 참돔들이 물색이 돌아 오면서 다시 움직이기 시작 합니다 조류가 이쁘게 흐르는 시간에 맞춰오전, 오후 한차례씩 시원한 입질이 한동안 이어졌고63 덩치급 까지 찐한 손맛을 전해 주네요 일요일 자리여유 있습니다 6분 이상 무조건 출조 합니다 월요일은 수협 행사 관계로 휴항 합니다 진해대박낚시밴드http://band.us/@jackpotfishing* 편안한 낚시 여건을 위해 16분만 모십니다 ** 자리 배정은 추첨 입니다 ** 입항 10분전 참돔 피 빼 드립니다 ** 항구 근처 회집에서 회 뜰 수 있습니다(유료) ** 초보 조사님 집중 가이드 해 드립니다 ** 장비대여 가능 : 로드+릴 만원(로드 무료) * " 매일 경품 증정 " 일일 최대어 :
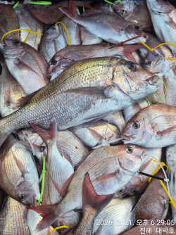
참돔 타이라바 매일 출조 합니다 참돔 시즌 끝까지 선비 10만원 ( 16석 / 청개비, 도시락 포함 )3월 21일 토요일실시간ㅡ 현재 63cm 최대어.물색이 좋아지니, 조황도 살아난 듯합니다^^일요일 자리여유 있습니다 6분 이상 무조건 출조 합니다 * 편안한 낚시 여건을 위해 16분만 모십니다 ** 자리 배정은 추첨 입니다 ** 입항 10분전 참돔 피 빼 드립니다 ** 항구 근처 회집에서 회 뜰 수 있습니다(유료) ** 초보 조사님 집중 가이드 해 드립니다 ** 장비대여 가능 : 로드+릴 만원(로드 무료) * " 매일 경품 증정 " 일일 최대어 : 3만원 상품권 7짜 : 5만원 상품권 8짜 : 10만원 상품권 9짜 : 20만원 상품권" 대박호 전용 상품권..선비, 채비구매 사용 가능"* 타이라바 출조 안내 ㆍ청개비 포함 10만원 (16석),
참돔 타이라바 매일 출조 합니다 참돔 시즌 끝까지 평일, 주말 선비 10만원 ( 청개비, 도시락 포함 ) 12분 조사님 모시고 타이라바 출조 다녀 왔습니다 오늘은 피딩타임 없이출조 내내 따박따박 입질이 이어졌습니다 포인트 마다 쏨뱅이가 많이 설치네요 오후에 활성도가 좋아지며 70수에 조금 모자라는 조황 입니다목, 금요일은 날씨가 좋지 않아 휴항 하고토요일 부터 다시 달립니다토요일은 예약완료 되었고 일요일 몇자리 남아 있습니다 6분 이상 무조건 출조 합니다 진해대박낚시밴드http://band.us/@jackpotfishing * 편안한 낚시 여건을 위해 16분만 모십니다 ** 자리 배정은 추첨 입니다 ** 입항 10분전 참돔 피 빼 드립니다 ** 항구 근처 회집에서 회 뜰 수 있습니다(유료) ** 초보 조사님 집중 가이드 해 드립니다 ** 장비대여 가능 : 로드+릴 만원(로드 무료) * " 매일 경품 증정 "
참돔 타이라바 매일 출조 합니다 참돔 시즌 끝까지 평일, 주말 선비 10만원 ( 청개비, 도시락 포함 ) 15분 조사님 모시고 타이라바 출조 다녀 왔습니다 오전 첫 포인트 부터 우당탕 하더니두시간여 입질이 계속 이어 졌습니다 이후 물이 돌며 조류가 약해지니입질이 약아지고 씨알도 잘아 졌지만오후 늦게 조류가 다시 힘을 받으면서다시 한바탕 드랙이 따라라라락~100수에 조금 모자라는 조황 입니다월, 화요일은 님이 없어 이틀간 쉬고수요일 부터 다시 달립니다대물 포인트 진입 가능한 물때가 시작 되고수요일은 날씨도 좋네요6분 이상 무조건 출조 합니다 진해대박낚시 밴드 http://band.us/@jackpotfishing * 편안한 낚시 여건을 위해 16분만 모십니다 ** 자리 배정은 추첨 입니다 ** 입항 10분전 참돔 피 빼 드립니다 ** 항구 근처 회집에서 회 뜰 수 있습니다(유료) ** 초보 조사님 집중 가이드 해 드립니다 ** 장비대여 가능 :
참돔 타이라바 매일 출조 합니다 참돔 시즌 끝까지 평일, 주말 선비 10만원 ( 청개비, 도시락 포함 ) 11분 조사님 모시고 타이라바 출조 다녀 왔습니다 오전에 줄기차게 입질이 이어졌고오후에도 따박따박 올라와마리수 조황 올리고 왔습니다 11분 조사님 합계 80수 정도 입니다일요일은 예약완료 되었고다음주 월요일 부터 자리여유 많이 있습니다 6분 이상 무조건 출조 합니다진해대박낚시 밴드 http://band.us/@jackpotfishing* 편안한 낚시 여건을 위해 16분만 모십니다 ** 자리 배정은 추첨 입니다 ** 입항 10분전 참돔 피 빼 드립니다 ** 항구 근처 회집에서 회 뜰 수 있습니다(유료) ** 초보 조사님 집중 가이드 해 드립니다 ** 장비대여 가능 : 로드+릴 만원(로드 무료) * " 매일 경품 증정 " 일일 최대어 : 3만원 상품권 7짜 : 5만원
참돔 타이라바 매일 출조 합니다 2월 평일, 주말 선비 10만원 이벤트 ( 청개비, 도시락 포함 ) 목요일 참돔 타이라바 조
참돔 타이라바 매일 출조 합니다 2월 평일, 주말 선비 10만원 이벤트 ( 청개비, 도시락 포함 ) 수요일 참돔 타이라바
참돔 타이라바 매일 출조 합니다 2월 평일, 주말 선비 10만원 이벤트 ( 청개비, 도시락 포함 ) 설날 제수고기 잡으러 오세요토, 일요일은 기상악화로 출조가 취소 되었습니다주말만 기다리신 조사님, 아쉽고 죄송하네요월요일 부터는 날씨가 호전 되고물때 까지 좋아지며 대물 물때로 접어 듭니다설 차례상 제수고기 준비 해 보세요6분 이상 무조건 출조 합니다진해대박낚시밴드http://band.us/@jackpotfishing* 편안한 낚시 여건을 위해 16분만 모십니다 ** 자리 배정은 추첨 입니다 ** 입항 10분전 참돔 피 빼 드립니다 ** 항구 근처 회집에서 회 뜰 수 있습니다(유료) **









